福衛二號高空拍下的東沙是一個美麗的環,但是如果利用飛機拍攝高解析度的照片,就可以看見一座座的巨大的塊礁散佈在東沙潟湖中,這些塊礁由微孔珊瑚為主體,和菊珊瑚、軸孔珊瑚等各種珊瑚構築而成,其中最大的塊礁直徑可達6-700公尺,映著由綠到藍的海水,繪成東沙環礁最美的一幅畫。

由高空俯視東沙環礁,水中的塊礁一一浮現,最大直徑可達6-700公尺。

褐色的塊礁,綠色的海草及藻類,白色的沙,繪出一幅美麗的畫。

有些塊礁離水不及一米,因此在航行上需特別註意。

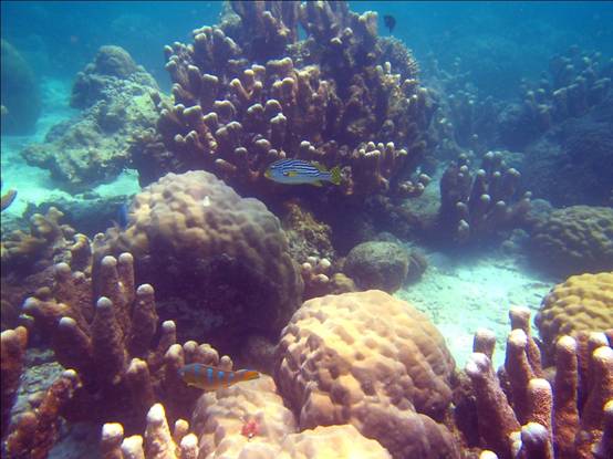
水下的塊礁多由微孔珊瑚構成主體,其他珊瑚點綴其中。

福衛二號高空拍下的東沙是一個美麗的環,但是如果利用飛機拍攝高解析度的照片,就可以看見一座座的巨大的塊礁散佈在東沙潟湖中,這些塊礁由微孔珊瑚為主體,和菊珊瑚、軸孔珊瑚等各種珊瑚構築而成,其中最大的塊礁直徑可達6-700公尺,映著由綠到藍的海水,繪成東沙環礁最美的一幅畫。

由高空俯視東沙環礁,水中的塊礁一一浮現,最大直徑可達6-700公尺。

褐色的塊礁,綠色的海草及藻類,白色的沙,繪出一幅美麗的畫。

有些塊礁離水不及一米,因此在航行上需特別註意。

水下的塊礁多由微孔珊瑚構成主體,其他珊瑚點綴其中。